biz buy fav history ietanstyle mail mypage reform rent search sell tel house land mansion print point panorama save movie view door qanda useful office input lock label crown train add marker historyCheck catalogM catalogT catalogHG voice bus

<いい家探せる> ietan.jp(イエタン.jp)

大成有楽不動産販売

不動産の売買なら大成有楽不動産販売|ietan(イエタン)

Menu

トップ
マイページ
  1. 不動産の売買はietan(イエタン)
  2. 不動産の購入
  3. 土地
  4. 埼玉県
  5. 埼玉県市部
  6. 所沢市
  7. 埼玉県所沢市大字中富の土地

埼玉県所沢市大字中富の土地

2,480万円

ローンシミュレーション

物件価格より月々のお支払額を概算で算出いたします。

借入金額
(物件価格)
2,480 万円
自己資金
(頭金)
万円
支払期間
金利
%
ボーナス時
支払額
万円

月々の支払額

0

所在地
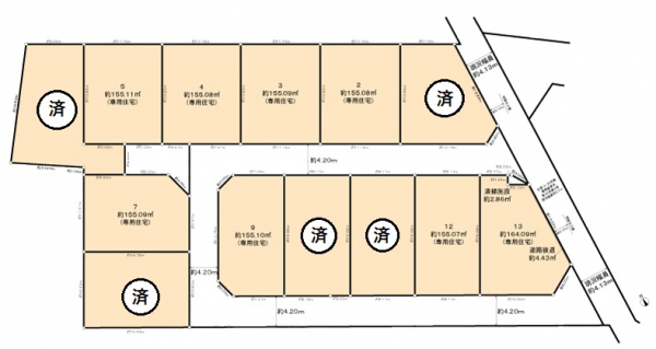
埼玉県所沢市大字中富
交通
西武新宿線「航空公園」駅 バス13分「所沢ニュータウン」バス停 徒歩4分
土地面積
155.08㎡
建築条件
条件無
建ぺい率
60%
容積率
200%
地目
宅地

もっと見る

設備・物件のこだわりポイント

取引条件
  • 建築条件なし

  • 更地

土地の特徴
  • 公道に面する

物件概要

所在地物件情報の見方
埼玉県所沢市大字中富
交通物件情報の見方
西武新宿線「航空公園」駅 バス13分「所沢ニュータウン」バス停 徒歩4分
土地面積物件情報の見方
155.08㎡(46.91坪) 実測
私道面積物件情報の見方
-
接面道路物件情報の見方
公道 南西4.2m 接道幅:7.5m
地目・地勢物件情報の見方
宅地
都市計画物件情報の見方
調整
用途地域物件情報の見方
無指定
国土法届出物件情報の見方
不要(否)
建ぺい率物件情報の見方
60%
容積率物件情報の見方
200%
建築条件物件情報の見方
条件無
容積率制限内容物件情報の見方
-
土地権利物件情報の見方
所有権
引渡し物件情報の見方
相談 現況:更地
設備物件情報の見方
-
備考
-
情報更新日物件情報の見方
2026/05/06
次回更新日物件情報の見方
2026/05/13
取引形態物件情報の見方
仲介

※本ページの記載内容は、情報更新日現在の情報です。また、記載内容と現状が異なる場合には現状を優先します。取引態様が仲介の場合には物件価格の他に仲介手数料及び消費税相当額を申しうけます。

同じエリアの物件

西武新宿線の物件

近隣の物件

埼玉県所沢市大字中富の土地の売地情報はこちら。不動産の売却や査定、購入・検索は大成有楽不動産販売のietan(イエタン)。首都圏の中古マンション、新築一戸建て、投資用不動産、土地など幅広くご提案いたします。

お気に入りに追加しました。

検索条件を保存しました。

この検索条件は、すでに保存されています。

検索条件の保存は10件までです。

お手数ですが、検索条件をご確認ください。

保存した条件を確認する

検索条件を保存します

マイページ会員の方

メールアドレス
パスワード

ログインして追加

マイページ会員ではない方

マイページ登録せずに検索条件を保存します。
マイページに登録いただくとスマートフォンや複数のPCで共有できます。

検索条件を追加