biz buy fav history ietanstyle mail mypage reform rent search sell tel house land mansion print point panorama save movie view door qanda useful office input lock label crown train add marker historyCheck catalogM catalogT catalogHG voice bus

<いい家探せる> ietan.jp(イエタン.jp)

大成有楽不動産販売

不動産の売買なら大成有楽不動産販売|ietan(イエタン)

Menu

トップ
マイページ
  1. 不動産の売買はietan(イエタン)
  2. 不動産の購入
  3. 新築一戸建て
  4. 千葉県
  5. 千葉県市部
  6. 流山市
  7. 千葉県流山市おおたかの森東4丁目の新築一戸建て
  • 新築一戸建住宅
  • 新築

千葉県流山市おおたかの森東4丁目の新築一戸建て

〜2025年10月完成〜■「流山おおたかの森」駅より徒歩14分■土地面積136.59㎡/建物面積112.53㎡■駐車スペース2台分有り ※車種制限がございます。■約20.6帖の広々LDK■対面カウンタータイプのキッチン■全居室に収納スペース有り

9,180万円

ローンシミュレーション

物件価格より月々のお支払額を概算で算出いたします。

借入金額
(物件価格)
9,180 万円
自己資金
(頭金)
万円
支払期間
金利
%
ボーナス時
支払額
万円

月々の支払額

0

所在地
千葉県流山市おおたかの森東4丁目
交通
つくばEX「流山おおたかの森」駅 徒歩14分
東武野田線「豊四季」駅 徒歩15分
間取り
4LDK
建物面積
112.53㎡
土地面積
136.59㎡
築年月
2025年10月
構造
木造
階建
2階建

もっと見る

設備・物件のこだわりポイント

立地・交通
  • 複数路線利用可

土地の特徴
  • 低層住居専用地域

  • 公道に面する

  • 土地・建物面積100㎡以上

浴室・トイレ
  • 浴室乾燥機能

駐車場
  • 駐車場2台以上

  • 駐車スペース有

その他
  • 空家・空室

建物の特徴
  • 築後5年以内

物件概要

所在地物件情報の見方
千葉県流山市おおたかの森東4丁目
交通物件情報の見方
つくばEX「流山おおたかの森」駅 徒歩14分
東武野田線「豊四季」駅 徒歩15分
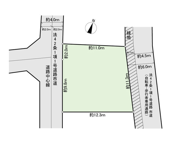
土地面積物件情報の見方
136.59㎡(41.31坪) 公簿
私道面積物件情報の見方
-
建物面積物件情報の見方
112.53㎡(34.04坪)
構造・階建物件情報の見方
木造 2階建
接面道路物件情報の見方
公道 南西4.0m 接道幅:11.8m 公道 北東6.0m
間取り物件情報の見方
4LDK
築年月物件情報の見方
2025年10月
都市計画物件情報の見方
市街
用途地域物件情報の見方
第一種低層住居専用地域
駐車場物件情報の見方
駐車場有 
建ぺい率物件情報の見方
60%
容積率物件情報の見方
150%
容積率制限内容物件情報の見方
-
地目・地勢物件情報の見方
宅地 平坦
土地権利物件情報の見方
所有権
国土法届出物件情報の見方
不要(否)
引渡し物件情報の見方
相談 現況:空家
施設物件情報の見方
-
設備物件情報の見方
水道:公営 ガス:都市ガス 汚水:公共下水 雑排水:公共下水 
備考
・上記建物面積は建築確認申請図面記載の内容によります。・地区計画:東映団地地区地区計画
建築確認番号:第25UDI1T建00591号
情報更新日物件情報の見方
2025/12/05
次回更新日物件情報の見方
2025/12/12
取引形態物件情報の見方
仲介

※本ページの記載内容は、情報更新日現在の情報です。また、記載内容と現状が異なる場合には現状を優先します。取引態様が仲介の場合には物件価格の他に仲介手数料及び消費税相当額を申しうけます。

千葉県流山市おおたかの森東4丁目の新築一戸建ての新築一戸建住宅情報はこちら。不動産の売却や査定、購入・検索は大成有楽不動産販売のietan(イエタン)。首都圏の中古マンション、新築一戸建て、投資用不動産、土地など幅広くご提案いたします。

お気に入りに追加しました。

検索条件を保存しました。

この検索条件は、すでに保存されています。

検索条件の保存は10件までです。

お手数ですが、検索条件をご確認ください。

保存した条件を確認する

検索条件を保存します

マイページ会員の方

メールアドレス
パスワード

ログインして追加

マイページ会員ではない方

マイページ登録せずに検索条件を保存します。
マイページに登録いただくとスマートフォンや複数のPCで共有できます。

検索条件を追加