biz buy fav history ietanstyle mail mypage reform rent search sell tel house land mansion print point panorama save movie view door qanda useful office input lock label crown train add marker historyCheck catalogM catalogT catalogHG voice bus

<いい家探せる> ietan.jp(イエタン.jp)

大成有楽不動産販売

不動産の売買なら大成有楽不動産販売|ietan(イエタン)

Menu

トップ
マイページ
  1. 不動産の売買はietan(イエタン)
  2. 不動産の購入
  3. オーナーチェンジ
  4. オーナーチェンジ物件の購入
  5. 神奈川県横浜市南区大岡1丁目のオーナーチェンジ「アパート一棟」
  • アパート
  • オーナーチェンジ

神奈川県横浜市南区大岡1丁目のオーナーチェンジ「アパート一棟」

・満室賃貸中!《月額収入》101:賃料59,000円+共益費3,000円=金62,000円102:賃料60,000円+共益費3,000円=金63,000円201:賃料61,000円+共益費3,000円=金64,000円202:賃料64,000円+共益費3,000円=金67,000円・現況満室年間賃料収入3,072,000円・表面利回り6.16%現在の賃料収入は将来にわたって保証されるものではありません

4,980万円

ローンシミュレーション

物件価格より月々のお支払額を概算で算出いたします。

借入金額
(物件価格)
4,980 万円
自己資金
(頭金)
万円
支払期間
金利
%
ボーナス時
支払額
万円

月々の支払額

0

所在地
神奈川県横浜市南区大岡1丁目
交通
横浜ブルー「蒔田」駅 徒歩8分
想定利回り
5.93%
建物面積
88.86㎡
構造
木造
築年月
2015年12月
階建
2階建

設備・物件のこだわりポイント

立地・交通
  • 駅徒歩10分以内

土地の特徴
  • 公道に面する

建物の特徴
  • 築後10年以内

この物件の担当者より

横浜市営地下鉄ブルーライン「蒔田」駅徒歩8分の1棟アパート(4戸)オーナーチェンジ物件です!
物件の詳細につきましては担当【増山】までお問い合わせください!お電話お待ちしております!

増山 裕人

物件概要

所在地物件情報の見方
神奈川県横浜市南区大岡1丁目
交通物件情報の見方
横浜ブルー「蒔田」駅 徒歩8分
想定収入物件情報の見方
307.20万円/年
想定利回り物件情報の見方
5.93%
現行収入物件情報の見方
307.20万円/年
現行利回り物件情報の見方
5.93%
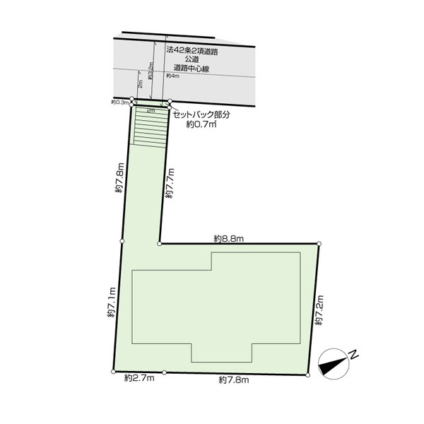
土地面積物件情報の見方
92.44㎡(27.96坪) 公簿
セットバック有 面積:0.70㎡
(土地面積に含む)
私道面積物件情報の見方
-
建物面積物件情報の見方
88.86㎡(26.88坪)
構造・階建物件情報の見方
木造 2階建
接面道路物件情報の見方
公道 北西3.2m 接道幅:2.0m
築年月物件情報の見方
2015年12月
都市計画物件情報の見方
市街
用途地域物件情報の見方
第一種住居地域
駐車場物件情報の見方
駐車場無  
建ぺい率物件情報の見方
60%
容積率物件情報の見方
160%
容積率制限内容物件情報の見方
-
地目・地勢物件情報の見方
宅地 雛段
国土法届出物件情報の見方
不要(否)
土地権利物件情報の見方
所有権
引渡し物件情報の見方
相談 現況:賃貸中 オーナーチェンジ
賃貸中の内訳
-
設備物件情報の見方
水道:公営 ガス:個別プロパン 汚水:公共下水 雑排水:公共下水 
備考
月額賃料は2024年3月14日付のものです。地域地区は、不燃化推進地域。容積率は前面道路幅員による制限です。
情報更新日物件情報の見方
2025/12/19
次回更新日物件情報の見方
2025/12/26
取引形態物件情報の見方
仲介

※本ページの記載内容は、情報更新日現在の情報です。また、記載内容と現状が異なる場合には現状を優先します。取引態様が仲介の場合には物件価格の他に仲介手数料及び消費税相当額を申しうけます。

神奈川県横浜市南区大岡1丁目のオーナーチェンジ「アパート一棟」情報はこちら。不動産の売却や査定、購入・検索は大成有楽不動産販売のietan(イエタン)。首都圏の中古マンション、新築一戸建て、投資用不動産、土地など幅広くご提案いたします。

お気に入りに追加しました。

検索条件を保存しました。

この検索条件は、すでに保存されています。

検索条件の保存は10件までです。

お手数ですが、検索条件をご確認ください。

保存した条件を確認する

検索条件を保存します

マイページ会員の方

メールアドレス
パスワード

ログインして追加

マイページ会員ではない方

マイページ登録せずに検索条件を保存します。
マイページに登録いただくとスマートフォンや複数のPCで共有できます。

検索条件を追加